Leit
Loka

Göngudeild húð- og kynsjúkdóma

Deildarstjóri

Emma B. Magnúsdóttir

Yfirlæknir

Jónas Aðalsteinn Aðalsteinsson

Banner mynd fyrir  Göngudeild húð- og kynsjúkdóma

Hafðu samband

OPIÐ

Göngudeild húð- og kynsjúkdóma - mynd

Hér erum við

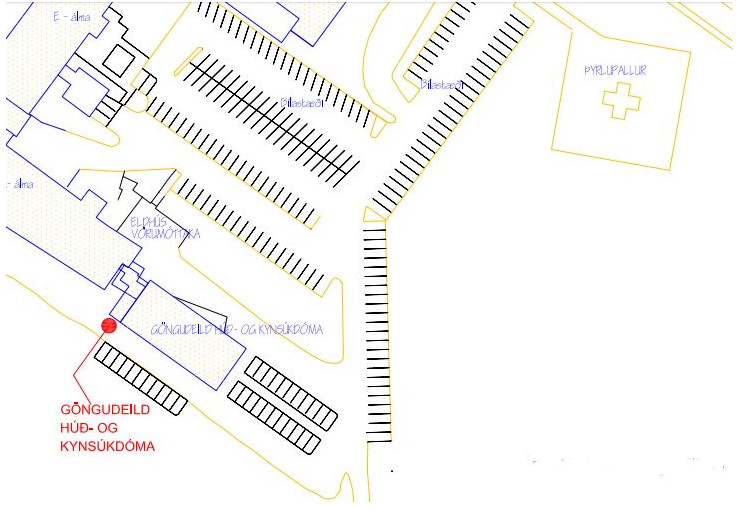
1. hæð A álma Fossvogi. Aðkoma er austan við Landspítala Fossvogi í lágbyggðu húsi í suðausturhorni lóðarinnar. Þegar komið er inn á lóð spítalans þar er ekið framhjá bráðamóttökunni, niður bílaplanið og beygt til hægri hjá Strandmöllen súrefniskútnum. Þar er inngangurinn, fyrsta hurðin á suðurhlið hússins (ekki hurðin á gaflinum).

  • Göngudeild húð- og kynsjúkdóma á Landspítala Fossvogi - staðsetning á korti
    Sími: 543 6350
  • Tilvísun þarf að liggja fyrir til að hægt sé að bóka tíma vegna húðsjúkdóma. Síminn er opinn kl. 11.00 - 12.00 og 13.00 - 14.00

Fræðsluefni fyrir húðsjúkdóma

Bjúgur á fótum - þrýstingsmeðferð með teygjubindum

Fræðsluefni fyrir kynsjúkdóma er að finna undir sér kafla neðar á síðunni um Kynsjúkdóma.

Tímapantanir hjá kynsjúkdómadeild eru í gegnum Landspítala-app

Þeir sem hvorki eiga rafræn skilríki né auðkennisapp bóka tíma hjá ritara:

  • Sími: 543 6050
  • Panta þarf tíma: kl. 11.00 - 12.00 og 13.00 - 14.00

Blóðrannsókn í Fossvogi:

 Örvarnar sýna leiðina frá göngudeild húð- og kynsjúkdóma í blóðrannsókn. Gengið er inn um Krókinn, aðalinngang Landspítala í Fossvogi. Þegar þangað er komiðer farið beint áfram að rannsóknarkjarna (E1 er til vinstri). 
Þegar komið er inn í E-álmuna er beygt strax til hægri að afgreiðslu blóðrannsókna (rannsóknakjarni).

Göngudeild húð- og kynsjúkdóma á Landspítala Fossvogi - Götukort sem sýnir leiðina sem þarf að fara til að fara í blóðprufu frá byggingu Húð o gkyn.

 

 

Deildarstjóri:
Emma B. Magnúsdóttir
Göngudeild húð- og kynsjúkdóma
emmabm@landspitali.is

Yfirlæknir:
Elísabet Reykdal Jóhannesdóttir
slbeta@landspitali.is


Leiðbeiningar um tímapöntun, komu á kynsjúkdómadeild og fleira:

  • Beiðni um kynsjúkdómarannsóknir er í gegnum Landspítlaapp. Appið er aðgengilegt á Apple Store og Google Play undir nafninu „Landspítali“. Upplýsingar um Landpsítala appið
  • Þar er sóttur spurningalisti: Leiðbeiningar hvernig á að sækja Landspítalaappið og spurningalistann í appinu
  • Það þarf rafræn skilríki eða auðkennisappið til að opna Landspítlaappið.
  • Það er bara hægt að sækja Landspítlaappið í farsíma og spjaldtölvu (ekki borðtölvu).
  • Biðtími eftir rannsókn er oftast 1-5 virkir dagar eftir að svör við spurningalista hafa borist til deildar.
  • Sms-skilaboð með strikamerki berst í skráðan síma þegar sýnatökusett er tilbúið í snjall- /póstboxi á deildinni (gildir aðeins fyrir þá sem svara spurningalista í Landspítlaappi). Strikamerkið gildir í 24 klst. á opnunartíma deildar (strikamerki sem berst á föstudegi og fyrir frídag, gildir bara þann dag).
  • Sýnatökusett má nálgast í snjall- /póstboxi á biðstofu göngudeildar húð- og kynsjúkdóma, A1, Fossvogi sem er opin virka daga kl. 8:15 til 15:00.
  • Þeir sem ekki eiga rafræn skilríki hringja í ritara (s. 5436050) og fá lánaða spjaldtölvu á deildinni til að svara spurningalistanum.

    ________________________________________

    Allir eru bókaðir í almenna kynsjúkdómarannsókn án viðtals við hjúkrunarfræðing/lækni.
    Í almennri kynsjúkdómarannsókn er skimað fyrir klamydíu og lekanda.
    Einstaklingar með typpi skila þvagsýni og einstaklingar með leggöng skila stroksýni frá leggöngum.
    Í spurningalistanum er einnig hægt að óska eftir blóðprufum og símaráðgjöf hjúkrunarfræðings.
    Til að fá áreiðanlegar niðurstöður úr klamydíu- og lekandarannsóknum þurfa að líða minnst 10 dagar frá mögulegu smiti þar til sýni er tekið.
    Niðurstöður rannsókna má nálgast í Landspítlaappi eftir 1-3 virka daga.
  • Hægt er að óska eftir símtali við hjúkrunarfræðing í spurningalistanum.
  • Hjúkrunarfræðingur hringir samdægurs eða næsta virka dag.

ATH: Það er ekki hægt að bóka símtal við lækni.

Einstaklingur með typpi skilar þvagsýni.

Leiðbeiningar um þvagsýnatöku á kynsjúkdómadeild

Einstaklingur með typpi sem á kynlífsfélaga með typpi skilar auk þvagsýnis, sýni frá hálsi og/eða endaþarmi.

Einstaklingur með leggöng skilar stroksýni frá leggöngum.

Einstaklingur sem á kynlífsfélaga sem hefur greinst með lekanda skilar sýni frá hálsi auk sýnis frá kynfæri.

Ef einstaklingur vill blóðprufu merkir hann við í spurningalistanum: „Blóðrannsókn fyrir HIV og sárasótt"

Blóðrannsókn í Fossvogi:
Örvarnar sýna leiðina frá göngudeild húð- og kynsjúkdóma í blóðrannsókn.
Þegar komið er inn í E-álmuna er beygt til hægri að afgreiðslu blóðrannsókna (rannsóknakjarni)


Blóðrannsóknir eru nauðsynlegar þegar:

  • Smokkur er ekki notaður eða kynlífsfélagar eru margir.
  • Saga um sprautufíkn en þá er einnig æskilegt að óska eftir blóðprufu fyrir lifrarbólgu.
  • Athuga að ef minna en þrír mánuðir eru frá mögulegu smiti ætti að endurtaka blóðrannsóknir.

  • Nauðsynlegt er að útiloka klamydíu- og lekandasmit með sýnatöku.

Sár á kynfærum eða endaþarmi

  • Ef einkenni eru ný og/eða mikil (verkir, sviði og sársauki við þvaglát) og þörf þykir á skoðun er í spurningalistanum bókuð símaráðgjöf hjá hjúkrunarfræðingi. Hjúkrunarfræðingur hringir samdægurs eða næsta virka dag.
  • Nauðsynlegt er að útiloka klamydíu- og lekandasmit með sýnatöku og ef við á blóðrannsókn fyrir HIV og sárasótt.

Vörtur á kynfærum eða við endaþarm

  • Ef grunur er um vörtur á kynfærum eða við endaþarm bókar ritari tíma í læknisskoðun á göngudeild húð- og kynsjúkdóma um leið og sýni fyrir klamydíu- og lekanda er skilað.

 

  • Snjall- /póstbox er staðsett á biðstofu göngudeildar húð- og kynsjúkdóma, A1, Fossvogi. Deildin er opin virka daga kl. 8:15 til 15:00. (Móttökustandur í anddyri virkar ekki fyrir kynsjúkdómadeild).
  • Til að opna snjall- /póstbox: Skannaðu strikamerki í símanum þínum eða sláðu inn númerið (fylgir strikamerkinu) til að opna hólfið.
  • Gular merkingarnar á gólfi biðstofu vísa leið að snyrtingu.
  • Einstaklingur tekur sýnin sjálfur á salerni.
  • Leiðbeiningar um sýnatöku eru á snyrtingu (linkur í leiðbeiningarnar hér).
  • Öll sýnaglös eru merkt með nafni og kennitölu, auk þess eru stroksýni merkt hvaðan sýnið er tekið (endaþarmur (e), háls (h), leggöng (s)).
  • Þegar sýni hefur verið tekið er því skilað í bala á snyrtingu.
  • Mikilvægt er að taka með heim rakningablað sem fylgir sýninu, þar eru leiðbeiningar um niðurstöður, rakningu og fleira. Ef kynsjúkdómur greinist þarf að fylla blaðið vel út og senda í tölvupósti til kyn@landspitali.is, eða með „Signet Transfer“. Hér má nálgast Rakningsblaðið

  • Niðurstöður má nálgast í Landspítlaappi (linkur í QR-kóða fyrir Landspítalaapp).
  • Appið er aðgengilegt á Apple Store og Google Play undir nafninu „Landspítali“.
  • Innskráning í appið er með rafrænum skilríkjum.
  • Linkur í leiðbeiningar hvernig opna/skoða má niðurstöður.
  • Þeir sem ekki eiga rafræn skilríki geta óskað eftir að fá niðurstöður afhentar á deildinni. Send er beiðni í tölvupóst til kyn@landspitali.is. Hægt er að sækja niðurstöður gegn framvísun viðurkenndra skilríkja, í afgreiðslu göngudeildar húð- og kynsjúkdóma á opnunartíma, næsta virka dag eftir að beiðni berst.

Niðurstöðum er hvorki svarað í síma né tölvupósti.

Samkvæmt sóttvarnalögum ber heilbrigðisstarfsmanni sem greinir og meðhöndlar kynsjúkdóm (s.s. klamydíu, lekanda, sárasótt, HIV, lifrarbólgu B og lifrarbólgu C) að gera smitrakningu til að hefta útbreiðslu smits eins og kostur er. Smitrakning er gerð eitt ár aftur í tímann eða frá þeim tíma sem viðkomandi fór síðast í tékk. Upplýsingar úr smitrakningu eru ekki skráðar í sjúkraskrá og er eytt að lokinni rakningu.



Meðferð kynsjúkdóma:

  • Þegar rakningablaðið hefur borist til göngudeildar húð- og kynsjúkdóma sendir læknir deildarinnar leiðbeiningar heilsuveru varðandi meðferð, einkenni, ofnæmi, aðra lyfjanotkun og fleira.
  • Lyf er því næst sent í apótek einstaklingi að kostnaðarlausu.
  • Best er að meðhöndla báða einstaklinga í föstu sambandi á sama tíma að undangenginni sýnatöku og smitrakningu.
  • Ekki má stunda kynlíf á meðan meðferð fer fram og í 3 daga eftir að henni lýkur, samtals 10 daga þar sem einstaklingur getur verið smitandi í þann tíma.
  • Klamydía fræðslubæklingur
  • Þeir sem greinast með lekanda eru boðaðir í viðtal og meðferð á göngudeild húð- og kynsjúkdóma.
  • Þeir afhenda lækni rakningablað.
  • Allir sem fá meðferð vegna lekanda fá tvær tegundir sýklalyfja, bæði töflur og sprautu.
  • Þremur vikum eftir meðferð við lekanda þarf að skila nýju sýni (þvagsýni eða stroki).
  • Ekki má stunda kynlíf frá því grunur vaknar um lekandasmit og þar til niðurstöður úr seinni sýnatöku liggja fyrir.

  • Þeir sem greinast með sárasótt eru boðaðir í viðtal og meðferð á göngudeild húð- og kynsjúkdóma.
  • Þeir afhenda lækni rakningablað.
  • Algengasta meðferð við sárasótt er í sprautuformi í 1 – 3 skipti.
  • Meðferð við sárasótt er fylgt eftir með þremur blóðprufum 3, 6 og 12 mánuðum eftir meðferð.

Þeir sem greinast með HIV eru boðaðir í viðtal og meðferð hjá lækni á göngudeild smitsjúkdóma, deild A3 í Fossvogi.

Fyrsta koma

Fyrsta koma vegna fyrirhugaðrar PrEP meðferðar er hjá hjúkrunarfræðingi á göngudeild smitsjúkdóma, B1 í Fossvogi. Gert áhættumat fyrir HIV, gefin fræðsla og skimað fyrir kynsjúkdómum.
Tímapöntun er í síma 543-6040. 

Eftirfylgni

Endurkoma er á 12 vikna fresti á göngudeild húð- og kynsjúkdóma, A1 í Fossvogi.
Tímapantanir hjá kynsjúkdómadeild eru í gegnum Landspítala-app (leiðbeiningar eru hér ofar á síðunni)

Þeir sem hvorki eiga rafræn skilríki né auðkennisapp bóka tíma hjá ritara:

Sími: 543 6050 kl. 11.00 - 12.00 og 13.00 - 14.00

  • Bókað er í „Hefja fyrirbyggjandi meðferð við HIV (PrEP)“.
  • Leiðbeiningar um sýnatöku eru á snyrtingu.
  • Sýnum er skilað í skáp á snyrtingunni.
  • Blóðprufur eru teknar á E1 í Fossvogi. Sjá kort (linkur í kort).
  • Blóðrannsóknir sem algengast er að gera eru HIV, sárasótt, lifrabólga b, lifrabólga c og kreatinin.
  • Sms-skilaboð með strikamerki berst í skráðan síma þegar búið er að senda blóðprufubeiðni og sýnatökusett er tilbúið í snjall- /póstboxi á deildinni.
  • Strikamerkið gildir í 24 klst. á opnunartíma deildar (strikamerki sem berst á föstudegi gildir bara þann dag).
  • Skoðið vel um komu á kynsjúkómadeild í kafla hér fyrir ofan (Komur á kynsjúkdómadeild)

Við hvetjum alla til að nota smokk og panta tíma í tékk ef grunur er um kynsjúkdómasmit (ath. tímafaktor frá mögulegu smiti þar til smit greinist).

Klamydía

Klamydía (fræðsluefni Landspítala)

Gagnlegir tenglar

Samtök um Kynheilbrigði: https://kynheilbrigdi.is/
Samtök um Kynheilbrigð: Handbók

Bólusetningar

Lifrabólga C; EKKI TIL BÓLUSETNING 

Gardasil; https://www.ema.europa.eu/en/documents/product-information/gardasil-9-epar-product-information_is.pdf (úr Sérlyfjaskrá)

Cervarix; https://www.ema.europa.eu/en/documents/product-information/cervarix-epar-product-information_is.pdf (úr Sérlyfjaskrá)

Var efnið hjálplegt?
Takk fyrir
Af hverju ekki?